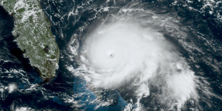
In a significant weather event, Hurricane Dorian made landfall in the U.S. Virgin Islands as a Category 1 hurricane, bringing with it strong winds and heavy rainfall. The storm, which has already caused widespread destruction in other regions, raised concerns among residents and officials alike as it approached the islands. With forecasters predicting severe weather conditions, authorities have implemented safety measures to protect the population and mitigate potential damage. As the storm progresses, the focus remains on the immediate response efforts and the resilience of the communities affected by this powerful natural phenomenon.
Dorian’s Impact on Infrastructure and Communities in the US Virgin Islands
The impact of Hurricane Dorian on the US Virgin Islands was profound, affecting both infrastructure and community dynamics in ways that will take years to fully understand. The storm’s winds and rains led to widespread damage, particularly in low-lying areas prone to flooding. Key infrastructures such as roads, bridges, and power lines sustained severe damage, disrupting transportation and utilities. Residents faced power outages for days, and many were left without access to clean water, complicating recovery efforts in the wake of the storm. The local government has since prioritized restoration efforts, focusing on the most severely affected regions while seeking additional resources from federal disaster assistance programs.
In addition to the physical destruction, Dorian’s aftermath has taken a toll on the social fabric of the communities in the Virgin Islands. Many families were displaced, leading to an urgent need for shelter and support systems. Volunteer organizations and local charities mobilized quickly, organizing drives to collect essential supplies for those affected. Community centers became hubs for recovery efforts, providing not just shelter but also crucial emotional support. The resilience of the local populations has been on full display, as citizens unite to assist neighbors and rebuild their communities, facing the long-term challenge of recovery together. Below is a summary table highlighting key impacts:
| Impact Area | Details |
|---|---|
| Infrastructure Damage | Roads, bridges, and power lines heavily damaged. |
| Utility Disruptions | Extended power outages and limited access to clean water. |
| Community Displacement | Many families were displaced, requiring emergency shelter. |
| Community Response | Local charities mobilized for essential supply drives. |
Emergency Preparedness and Response Strategies Amid Hurricane Dorian
As Hurricane Dorian approaches, residents and local authorities in the US Virgin Islands are mobilizing to implement essential preparedness strategies designed to minimize risk and ensure safety. Comprehensive emergency plans have been established, encompassing various measures aimed at protecting both life and property. Key elements of these plans include:
- Evacuation Routes: Clearly marked and communicated routes for those in flood-prone areas.
- Emergency Shelters: Designated locations equipped with necessary supplies for citizens seeking refuge.
- Public Awareness Campaigns: Updates via social media and local news outlets regarding hurricane developments and safety tips.
- Community Drills: Conducting simulations to prepare residents for potential scenarios during the hurricane.
In addition to preventative measures, responsive strategies are critically important once the hurricane strikes. Emergency response teams are being activated and placed on standby, ready to assist as the situation unfolds. Coordination is key, and local agencies are employing a tiered response system that includes:
| Response Level | Actions Taken |
|---|---|
| Level 1 | Minor response; focus on community awareness. |
| Level 2 | Initiate shelter operations and resource distribution. |
| Level 3 | Full-scale emergency response; deployment of first responders. |
These proactive and reactive measures underscore the community’s commitment to safeguarding lives and fostering resilience against the potential devastation posed by Hurricane Dorian.
Long-Term Recovery Plans for Residents Affected by Hurricane Dorian
The devastation caused by Hurricane Dorian has left many residents in the US Virgin Islands grappling with the aftermath. Efforts to restore normalcy include comprehensive long-term recovery plans that aim to support affected families and communities. These plans focus on rebuilding essential infrastructure and housing while facilitating access to necessary resources. Key components of the recovery strategy involve:
- Financial Assistance: Establishing grants and low-interest loans for impacted families.
- Housing Reconstruction: Repairing and rebuilding homes with improved safety standards.
- Community Engagement: Involving local residents in the recovery process to ensure tailored responses to specific needs.
- Mental Health Services: Providing psychological support to help residents cope with trauma and stress.
To effectively track the progress and allocate resources, local authorities are implementing data-driven management systems. These systems will monitor recovery milestones and ensure transparency. A detailed plan has been developed, outlining critical timelines and responsibilities among stakeholders, which include government agencies, non-profit organizations, and community groups:
| Milestone | Target Completion Date | Responsible Entities |
|---|---|---|
| Initial Damage Assessment | December 2023 | Local Government & FEMA |
| Community Meeting for Feedback | January 2024 | Local NGOs |
| Housing Reconstruction Initiatives | March 2024 | Construction Firms & Local Government |
| Mental Health Program Rollout | April 2024 | Health Organizations |
In Retrospect
As the US Virgin Islands begin to assess the aftermath of Hurricane Dorian, which made landfall as a Category 1 storm, the focus now shifts to recovery and resilience. The initial reports indicate significant disruptions, including power outages and damage to infrastructure, further compounded by the region’s vulnerability given its recent history of severe weather events. Local authorities are mobilizing resources to support affected communities, while residents brace for the challenges ahead. With the hurricane season still underway, experts stress the importance of preparedness and adaptability in the face of an increasingly volatile climate. As Dorian’s impact continues to unfold, the lessons learned here may serve as crucial guidance for future storms in this storm-prone region. Al Jazeera will continue to monitor the situation and provide updates as recovery efforts progress.











