Antigua and Barbuda Rattled by 4.1 Magnitude Earthquake: Rising Concerns Over Hidden Seismic Dangers
Recently, the serene islands of Antigua and Barbuda experienced a gentle shake from a distant 4.1 magnitude earthquake. Fortunately, there ...
Recently, the serene islands of Antigua and Barbuda experienced a gentle shake from a distant 4.1 magnitude earthquake. Fortunately, there ...
In a breathtaking video that has captivated audiences across social media, a house was seen helplessly drifting away from the ...
Hurricane Beryl has unleashed its wrath, crashing into the Cayman Islands after leaving a trail of destruction in Jamaica. With ...
Of course! Please provide the article excerpt you'd like me to rewrite, and I'll be happy to help you make ...
Mount Pelée, the awe-inspiring active volcano in Martinique, has erupted with a breathtaking intensity, prompting urgent evacuations from the nearby ...
In the early hours of Monday, November 24, 1986, at exactly 5:50 AM local time, a moderate earthquake shook the ...
In the latest #BTColumn, we delve into the harrowing volcanic eruption of 1902 in Martinique-a cataclysm that claimed over 30,000 ...
In the stillness of the early hours on Friday, February 24, 2023, at exactly 3:02 AM local time, a moderate ...
Of course! Please provide the article excerpt you'd like me to rewrite, and I'll be happy to help you make ...
Hurricane Eta has unleashed a relentless onslaught across Central America, leaving a trail of catastrophic flooding and destruction in its ...
Incredible before-and-after images from Texas reveal the heart-wrenching impact of the recent floods, capturing the sheer scale of destruction that ...
The Caribbean Catastrophe Risk Insurance Facility has risen to the occasion, providing a remarkable US$2.4 million to Dominica in the ...
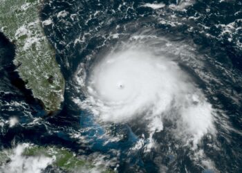
Hurricane Melissa Strikes Jamaica: How You Can Help Hurricane Melissa has unleashed its devastating power on Jamaica, bringing with it ...
In the aftermath of Hurricane Irma's wrath, an American couple finds themselves stranded in the breathtaking yet ravaged British Virgin ...
A strong magnitude 6.5 earthquake shook the region east of Guadeloupe on Tuesday, sending waves of alarm across the area. ...
Jamaica is reeling from a devastating tragedy, with at least four lives tragically lost as Hurricane Melissa sweeps through the ...
The La Soufrière volcano on St. Vincent is captivating onlookers with its stunning yet fierce eruptions, sending towering plumes of ...
The catastrophic flooding along the Guadalupe River has thrust the VEDA Dashboard from NASA Earthdata into the limelight. This remarkable ...
As hurricane Melissa approaches, the village of Pourcine Pic-Makaya in Haiti is gearing up for a challenging battle against nature. ...
In a powerful show of solidarity, the United States has come forward to provide vital support to Jamaica following a ...
In an unforgettable Super Bowl 2026 halftime show, Bad Bunny electrified the audience, infusing the spirit of Puerto Rico into...
Read more